GPW Combines Voting Precincts

City council unanimously approved combining six voting precincts into three at its meeting Monday, June 16, 2025.
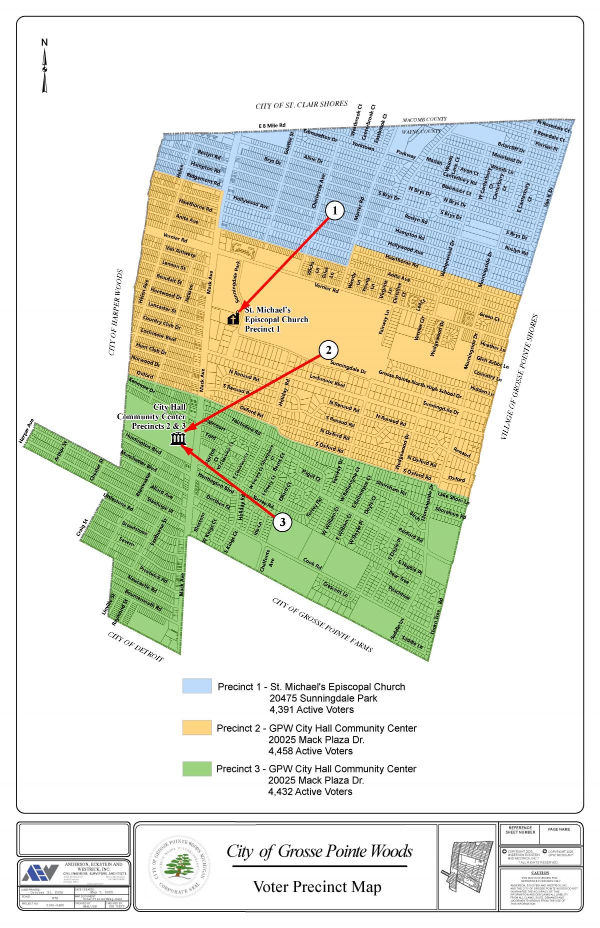
The move comes after voters statewide approved a ballot measure in 2022 that not only created early in-person voting, but also allowed for bigger precincts. Each one can now have up to 4,999 registered voters, an increase from the previous 2,999.
Woods voters in the new Precinct 1 will vote at St. Michael's Episcopal church, 20475 Sunningdale Park. Those in Precincts 2 and 3 will vote at city hall.
All voters were sent new ID cards that included their new polling location. There will no longer be voting at Ferry or Monteith schools. Information will be posted at Ferry and Monteith come Election Day about the new precinct locations.
"The turnout for local elections is usually pretty low, so this will give us a chance to see how the dynamics of the consolidation work," said Paul Antolin, City Clerk. "It will also save us money because we'll need less equipment and fewer poll workers."